
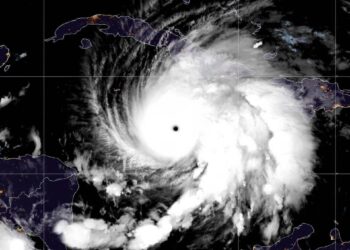
El huracán ‘Melissa’ avanza hacia Jamaica como un ciclón extremadamente peligroso según el CNH de EE.UU.
El huracán ‘Melissa’ sigue intensificándose mientras se dirige hacia Jamaica, convirtiéndose en un ciclón ‘extremadamente peligroso’ con potencial para causar serios daños, incluyendo el colapso de estructuras, alerta el Centro Nacional de Huracanes (CNH) de Estados Unidos. Según el último informe emitido por el CNH este martes por la mañana, el...`>